Cyclone Amphan: வங்கக் கடல் இதுவரை கண்டிராத அதி தீவிர வலுவான புயலாகி வேகமெடுக்கும் "சூறாவளி" ஆம்பன்
சென்னை: வங்கக் கடலில் இதுவரை ஏற்பட்டுள்ள புயல்களில் மிகவும் தீவிர, வலுவான புயல் என்றால் அது ஆம்பன் புயல்தான் என வானிலை ஆய்வாளர்கள் தெரிவிக்கிறார்கள்.
Recommended Video
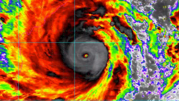
தென் வங்கக் கடலில் அந்தமான் அருகே உருவான ஆம்பன் புயல் கடந்த 3 தினங்களாக அதி தீவிர புயலாக உருமாறி சென்னைக்கு கிழக்கே 950 கி.மீ. தொலைவில் மையம் கொண்டுள்ளது. ஆனால் இந்த புயல் தமிழகத்திற்கு எந்த பாதிப்பையும் கொடுக்கவில்லை.
மாறாக ஒடிஸாவின் பாரதீப் துறைமுகத்திலிருந்து 750 கி.மீ. தூரத்தில் உள்ளது. இந்த புயல் மேற்கு வங்கம்- வங்கதேசம் அருகே வரும் நாளை கரையை கடக்கும்.

வலுகொண்ட புயல்
இந்த புயலுக்கு ஆம்பன் என பெயரிட்டது தாய்லாந்து. இந்த புயல் மிகவும் வலுகொண்டதாக இருக்கிறது. வங்கக் கடலில் உருவான புயல்களிலேயே இதுபோல் அதிதீவிர புயலை கண்டதே இல்லை என்கிறார்கள் வானிலை ஆய்வாளர்கள். கடந்த 1999ஆம் ஆண்டு ஒடிஸாவில் ஏற்பட்ட புயலுக்கு பிறகு இதுதான் தீவிர வலுகொண்ட புயலாகும்.

மணிக்கு எத்தனை கி.மீ.
இந்த புயல் மணிக்கு 260 கி.மீ வேகம் கொண்டிருந்தது. ஆனால் ஆம்பன் புயல் அதைவிட அதிகமாக மணிக்கு 270 கி.மீ. வேகத்தில் பயணிக்கிறது. இந்த புயல் மேற்கு வங்கம், வங்கதேசம், பர்மா ஆகிய பகுதிகளில் பேரழிவை கொடுக்கும் வல்லமை கொண்டது. இந்த புயலால் கடல் அலைகள் 20 அடி உயரத்திற்கு எழுகின்றன.

அளவீடு
இந்த புயல் இந்தியாவின் மேற்கு பகுதி மற்றும் வங்கதேச எல்லை அருகே நிலச்சரிவை ஏற்படுத்தும் என்கிறார்கள். 1999ஆம் ஆண்டு ஒடிஸாவையே உலுக்கிய புயலின் தீவிரம், செயற்கைகோள் மூலம் அளவிடப்பட்டது. அதுபோல் ஆம்பனின் அளவீடுகளும் அதே முறையில் அளக்கப்படுகின்றன.

145 முடிச்சு
ஒடிஸா புயலின் காற்று வேகம் 80 முடிச்சுகளை எட்டியது. ஆனால் இந்த ஆம்பன் புயலோ 145 முடிச்சுகளுடன் தீவிரமாக உள்ளது. கோடை காலத்தில் தோன்றிய இந்த புயலால் கடல் அலைகள் மிகவும் சீற்றத்துடன் காணப்படுகிறது. தமிழகம் முழுவதும் ஆங்காங்கே பரவலாக மழை பெய்து வருகிறது. ஒடிஸாவில் பெரும் சேதத்தை ஏற்படுத்திய ஃபனி புயலும் மிகவும் வலுவடைந்த புயல்தான். ஆனால் இது இந்திய பெருங்கடலில் உருவானது குறிப்பிடத்தக்கது.
-
கேஸ் மானியம் ₹300 வந்தாச்சா? வங்கிக்கு போகவே வேண்டாம்… வீட்டிலேயே 2 நிமிஷத்தில் தெரிஞ்சுக்கலாம் -
அமெரிக்காவை வீழ்த்தும் ஈரான்.. ஆட்டம் காணும் மிதக்கும் அரண்மனை.. ஒரே இரவில் பஸ்பம் ஆன $13000000000! -
டிரம்ப் வயிற்றில் பாலை வார்த்த ஈரான்.. அமெரிக்காவுக்கு முதல் முறையாக பச்சைக்கொடி -
உடைந்தது திமுக கூட்டணி..தனித்துப் போட்டியிடும் விசிக! அதிரடியாக அறிவித்த திருமா! அவரே சொன்ன விளக்கம் -
வைகோவால் 25 சீட் போச்சு.. அன்புமணியால் திமுகவுக்கு 50 சீட் காலி.. 2016இல் விஜயகாந்த் விழுந்த கதை! -
ஆதார் கார்டு வைத்திருப்போருக்கு குட் நியூஸ்.. பிஎம் ஸ்வநிதி திட்டத்தில் ₹50,000 கடன் கிடைக்குமா? -
சங்கீதாவுக்கு இன்ப அதிர்ச்சி கொடுத்த விஜய்.. சர்ப்ரைஸ்னா இப்படி இருக்கணும்! ரகசியங்கள் உடையுதே -
மொத்த அதிமுகவும் போய்விடும்.. தேர்தலுக்கு நடுவே தவிக்கும் எடப்பாடி! பின்னணியில் 3 மேஜர் காரணம் -
தமிழ் புத்தாண்டு பலன்: மேஷ ராசிக்கு தேடி வரும் ராஜயோகம்.. மிகப்பெரிய ஜாக்பாட் காத்திருக்கு -
மோடி என்ட்ரி கொடுத்ததும் மாறிய கிளைமேக்ஸ்.. மனம் மாறிட்டாரே டிரம்ப்! இனி ஈரானுக்கு சிக்கல் இல்லை? -
வங்கி கணக்கில்.. அரசு அனுப்பிய ரூ.2000! உங்களுக்கு வந்துடுச்சா.. மொபைலிலேயே செக் செய்வது எப்படி? -
இரட்டை இலக்க தொகுதி + ஒரு ராஜ்யசபா! பிரஷர் போடும் திருமா.. திமுக பிளான் என்ன தெரியுமா? விசிக ஷாக்












Click it and Unblock the Notifications