கிளம்பியது புரேவி.. இன்னும் 12 மணி நேரம்தான்.. 4 நாட்கள் செம மழை காத்திருக்கு.. இங்குதான் பெய்யுமாம்
புரேவி புயல் காரணமாக எங்கெங்கு மழை, காற்று வீசும் என அறிவிக்கப்பட்டுள்ளது
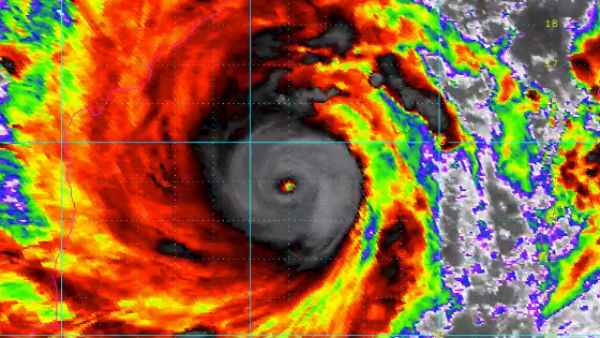
சென்னை: வங்கக்கடலில் உள்ள ஆழ்ந்த காற்றழுத்த தாழ்வு மண்டலம் 13 கி.மீ. வேகத்தில் நகர்ந்து வருகிறது என்று இந்திய வானிலை மையம் தகவல் தெரிவித்துள்ளது. மேலும் அடுத்த 12 மணி நேரத்தில் புயலாக மாறும். நாளை மாலை அல்லது இரவு திரிகோணமலை அருகே கரையை கடக்கிறது என்று தெரிவிக்கப்பட்டுள்ளது.. இந்நிலையில், இன்று முதல் 4 நாளைக்கு தமிழகத்தில் எங்கெங்கு மழை பெய்யும், புரேவி புயலின் காற்றின் வேகம் எவ்வளவு இருக்கும் என்று தெரிவிக்கப்பட்டுள்ளது.
ஆழ்ந்த காற்றழுத்த தாழ்வு மண்டலமாக கன்னியாகுமரிக்கு கிழக்கு தென்கிழக்கே சுமார் 900 கிலோமீட்டர் தொலைவில் நிலைகொண்டுள்ளது.
இது நாளை காலை டிசம்பர் 2-ம் தேதி புரேவிக புயல் வலுபெற்று... மேற்கு வடமேற்கு திசையில் நாளை சாயங்காலம் அல்லது இரவு நேரத்தில் மன்னார் வளைகுடா வழியாக குமரி கடல் பகுதிக்கு நகர உள்ளது! இதனால் இந்த 2 நாட்களும் எங்கெங்கு மழை பொழிய போகின்றன என்று எச்சரிக்கையாக சென்னை வானிலை மையம் அறிவித்தள்ளன.

மழை
அதன்படி, டிசம்பர் 1-ம் தேதி அதாவது இன்று, தஞ்சாவூர், திருவாரூர், நாகப்பட்டினம், புதுக்கோட்டை, சிவகங்கை, ராமநாதபுரம், திருநெல்வேலி, தூத்துக்குடி, கன்னியாகுமரி மாவட்டங்களில் ஓரிரு இடங்களில் கன மழையும், ஏனைய மாவட்டங்கள், புதுவை, காரைக்கால் பகுதிகளில் பெரும்பாலான இடங்களில் லேசானது முதல் மிதமான மழையும் பெய்யக்கூடும்.

நாளை
அதேபோல, நாளைய தினம், தென்காசி, ராமநாதபுரம், திருநெல்வேலி, தூத்துக்குடி, கன்னியாகுமரி, மாவட்டங்களில் ஓரிரு இடங்களில் இடி மின்னலுடன் கூடிய அதி கன மழையும்.. மேலும் புதுக்கோட்டை, சிவகங்கை, விருதுநகர், மதுரை தஞ்சாவூர், திருவாரூர், நாகப்பட்டினம், காரைக்கால், மயிலாடுதுறை, கடலூர், அரியலூர், பெரம்பலூர், மாவட்டங்களில் ஓரிரு இடங்களில் இடி மின்னலுடன் கூடிய கன முதல் மிக கன மழை பெய்யும் என்றும், திருவள்ளூர், காஞ்சிபுரம், நாமக்கல், கரூர், திண்டுக்கல் மாவட்டங்களில் ஓரிரு இடங்களில் இடி மின்னலுடன் கூடிய கன மழையும், ஏனைய மாவட்டங்களில் அநேக இடங்களில் மிதமான மழையும் பெய்யக்கூடும் என்றும் தெரிவிக்கப்பட்டுள்ளது.

டிசம்பர் 3
டிசம்பர் 3 அன்று, தென்காசி, திருநெல்வேலி, தூத்துக்குடி, கன்னியாகுமரி, மாவட்டங்களில் ஓரிரு இடங்களில் இடி மின்னலுடன் கூடிய அதி கன மழையும் என்றும், சிவகங்கை, விருதுநகர், ராமநாதபுரம், மாவட்டங்களில் ஓரிரு இடங்களில் இடி மின்னலுடன் கூடிய கன முதல் மிக கன மழையும் என்றும் தெரிவிக்கப்பட்டுள்ளது. இதில், கடலோர மாவட்டங்கள் மற்றும் புதுவை, காரைக்கால் பகுதிகளில் மிதமான மழையும், உள் மாவட்டங்களில் அநேக இடங்களில் லேசானது முதல் மிதமான மழையும் பெய்யக்கூடும் என்றும் தெரிவிக்கப்பட்டுள்ளது.

வங்க கடல்
எங்கெங்கு மழை பெய்யும் என்பது போலவே, எந்தெந்த பகுதிகளில் காற்று வீசக்கூடும் என்றும் அறிவிக்கப்பட்டுள்ளது.. அதன்படி இன்று, தெற்கு வங்கக்கடலில் மத்திய பகுதியில் சூறாவளி காற்று மணிக்கு இன்று மாலை வரை 50 முதல் 60 கிலோமீட்டர் வேகத்திலும் இடையிடையே 70கிலோமீட்டர் வேகத்திலும், தென் மேற்கு வங்கக்கடல் மற்றும் அதனை ஒட்டிய தென் கிழக்கு வங்கக்கடல் பகுதிகளில் மணிக்கு 60 முதல் 70 கிலோமீட்டர் வேகத்திலும் இடையிடையே 80 கிலோமீட்டர் வேகத்திலும் வீசக்கூடும்.

வேகம்
நாளைய தினம், மன்னார் வளைகுடா, குமரிக்கடல் மற்றும் தென்தமிழக கடலோரப் பகுதி மணிக்கு 45 முதல் 55 கிலோமீட்டர் வேகத்திலும் இடையிடையே 65 கிலோமீட்டர் வேகத்திலும் வீசக்கூடும்... மன்னார் வளைகுடா, குமரிக்கடல் மற்றும் தென்தமிழக கடலோரப் பகுதி கேரள கடலோர பகுதி ஆகிய இடங்களில் சூறாவளி காற்று மணிக்கு 45 முதல் 55 கிலோமீட்டர் வேகத்திலும் இடையிடையே 65 கிலோமீட்டர் வேகத்திலும் வீசக்கூடும்.

மீனவர்கள்
டிசம்பர் 3-ம் தேதி, மன்னார் வளைகுடா, குமரிக்கடல் மற்றும் தென் தமிழக கடலோரப் பகுதி சூறாவளி காற்று மணிக்கு 55 முதல் 65 கிலோமீட்டர் வேகத்திலும் இடையிடையே 75 கிலோமீட்டர் வேகத்திலும் வீசக்கூடும். டிசம்பர் 4-ம் தேதி, மன்னார் வளைகுடா, குமரிக்கடல் மற்றும் தென் தமிழக கடலோரப் பகுதி சூறாவளி காற்று மணிக்கு 70 முதல் 80 கிலோமீட்டர் வேகத்திலும் இடையிடையே 90 கிலோமீட்டர் வேகத்திலும் வீசக்கூடும் என்றும் தெரிவிக்கப்பட்டுள்ளது. இது அனைத்துமே மீனவர்களுக்கான எச்சரிக்கையாக விடுக்கப்பட்டுள்ளதால், மீனவர்கள் யாரும் கடலுக்கு செல்லவில்லை.
-
திமுக சிங்கிள் மெஜாரிட்டி! அதிமுகவிற்கு எதிர்க்கட்சி அந்தஸ்தே கிடைக்காது? சர்வேவில் கவனிச்சீங்களா -
வடபழனி- பூந்தமல்லி மெட்ரோ ரயில் சேவை உறுதியானது.. மேற்கு சென்னைக்கு மக்களின் ஏக்கம் நிறைவேறுது -
சிறகடிக்க ஆசை: முத்து- மீனா சொன்ன மகிழ்ச்சி செய்தி! கேக் கொடுத்து கொண்டாட்டம்! மனம் மாறிய விஜயா! -
முடியாதுனு முடியாது.. கட் அண்ட் ரைட்டாக பேசிய அண்ணாமலை! விடிய விடிய பேசிய கோயல்! கடைசி சான்ஸ்? -
செங்கோட்டையன் வீட்டிற்கே கிளம்பி செல்லும் விஜய்.. கடுப்பான ஆதவ் அர்ஜுனா, புஸ்ஸி? என்ன நடக்குது? -
அதிமுக, தமிழக வெற்றிக் கழகம்.. மொத்தமாக கேம் ஓவர்.. அடித்து சொல்லும் 3 பெரிய கருத்து கணிப்புகள்! -
அமெரிக்காவை ஏமாற்றிய டிரம்ப்.. எல்லாமே ஒரு லிமிட் தான்.. அடுத்து என்ன! உற்று பார்க்கும் உலக நாடுகள் -
குக் வித் கோமாளி 7 தொடங்கும் முன்பே பஞ்சாயத்து.. புகழ் பற்றி நெட்டிசன் போட்ட கமெண்டுக்கு வந்து விழுந்த அடி! -
இல்லத்தரசி கூப்பன்.. கிராமங்களில் உள்ளவர்களுக்கு செம சான்ஸ்.. ஸ்டாலின் மாஸ்டர்பிளான்? கசிந்த தகவல் -
திருச்சி ரோடு ஷோவில்.. வேனில் இருந்து எகிறி குதித்து ஓடிய விஜய்.. பதறிய பவுன்சர்கள்.. யாரந்த பெண்? -
அண்ணன் சொல்லிட்டாரு.. சட்டென களத்திற்கு வந்த பிரேமலதா.. இல்லத்தரசி கூப்பன் பற்றி செம அப்டேட்! -
ஆத்திரத்தின் உச்சியில் அண்ணாமலை..டெல்லியை ஆட்டி படைக்கும் அடிவருடிகள்! கருப்பு சிகப்பாகும் காவிகள்?












Click it and Unblock the Notifications