கடலில் ஏற்பட்ட மாற்றம்.. 18 மணி நேரத்தில் எல்லாம் மாறியது.. ஆம்பன் "சூப்பர் புயலாக" மாறியது எப்படி?
ஆம்பன் புயல் வெறும் 18 மணி நேரத்தில் அதிதீவிர புயலாக மாறி விஸ்வரூபம் எடுத்துள்ளது என்று இந்திய வானிலை ஆராய்ச்சி மையம் தெரிவித்துள்ளது.
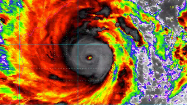
கொல்கத்தா: ஆம்பன் புயல் வெறும் 18 மணி நேரத்தில் அதிதீவிர புயலாக மாறி விஸ்வரூபம் எடுத்துள்ளது என்று இந்திய வானிலை ஆராய்ச்சி மையம் தெரிவித்துள்ளது.
Recommended Video
வங்கத்தின் டிகா- வங்கதேசத்தின் ஹாதியா தீவுகளுக்கு இடையே ஆம்பன் புயல் கரையை கடக்கிறது. தெற்கு வங்கக்கடலில் சென்னைக்கு கிழக்கே 1200 கிமீ தொலைவில் ஆம்பன் புயல் மையம் கொண்டுள்ளது. ஆம்பன் புயல் தற்போது அதி தீவிர சூப்பர் புயலாக மாறியுள்ளது.
இன்று இந்த புயல் கரையை கடக்கும். ஒடிஷாவின் பாரதீப் துறைமுகத்தில் இருந்து 600 கி.மீ. தொலைவில் இந்த புயல் இருக்கிறது. அதேபோல் மேற்கு வங்கத்தில் இருந்து இந்த புயல் 520 கிமீ தூரத்தில் இருக்கிறது.

சூப்பர் புயல்
இந்த நிலையில் இந்த ஆம்பன் புயல் குறித்து இந்திய வானிலை ஆராய்ச்சி மையம் முக்கியமான சில விஷயங்களை தெரிவித்துள்ளது. அதன்படி, ஆம்பன் புயல் தற்போது சூப்பர் புயலாக மாறியுள்ளது. வங்காள விரிகுடாவில் உருவான சூப்பர் புயல்களில் இது வலுவான ஒன்று. 18 வருடங்களுக்கு பிறகு ஒடிசாவில் இப்படி ஒரு சூப்பர் புயல் தாக்க உள்ளது. இன்று மாலை இந்த புயல் கரையை கடக்கும்.

18 மணி நேர வளர்ச்சி
இந்த புயல் வேகமாக வளர்ச்சி அடைந்து, தீவிரம் பெற்று இருக்கிறது. வெறும் 18 மணி நேரத்தில் இது சூப்பர் புயலாக மாறியுள்ளது. புயல் வகை 1ல் இருந்து புயல் வகை 18க்கு இந்த புயல் தீவிரமாக முன்னேறி இருக்கிறது. இதனால் இதன் தாக்கம் அதிகமாக இருக்கும். இந்த புயலின் தற்போதைய வேகம் 200-240 கிமீ/ நேரம் என்ற வகையில் உள்ளது. இது மிக அதிக வேகம்.

வேகம் அதிகரிக்கும்
கடலுக்கு மேலே இருப்பதால் இந்த புயல் இவ்வளவு வேகத்தில் செல்கிறது. இந்த புயல் கரையை கடக்கும் போது 155-165 கிமீ / நேரம் என்ற வேகத்தில் செல்லும். சமயத்தில் 185 கிமீ/ நேரம் என்ற வேகத்தை தொட கூட வாய்ப்புள்ளது. இதனால் அந்த பகுதியில் பெரிய அளவில் பாதிப்புகள் ஏற்படும். கடலின் மேற்பரப்பில் ஏற்பட்ட வெப்பநிலை மாறுபாடுதான் இதற்கு காரணம்.

வெப்பநிலை அதிகம்
வங்காள விரிகுடாவில் அதிக அளவு வெப்பநிலை காணப்படுகிறது. முன்பை விட அதிக வெப்பநிலை காணப்படுகிறது. இப்படி வங்க கடல் வெப்பநிலை அதிகரித்த காரணத்தால் புயல் வேகமாக வலிமை பெற்றுள்ளது. பொதுவாக கடலுக்கு மேல் வெப்பநிலை அதிகமாக இருந்தால் புயலின் வேகம் அதிகமாக இருக்கும். அதுதான் புயலுக்கு சக்தியை தரும். இதனால்தான் இந்த ஆம்பன் புயலும் வேகமாக வளர்ந்து உள்ளது.

இதுதான் காரணம்
வங்க கடலில் தற்போது 32-34 டிகிரி செல்ஸியஸ் வரை வெப்பநிலை இருக்கிறது. இது மிகவும் அதிக வெப்பநிலை. திடீர் என்று இப்படி வெப்பநிலை அதிகரித்துள்ளது . உலகம் முழுக்க இப்படி வெப்பநிலை அதிகரித்துள்ளது. இதுதான் அங்கு புயல் வலிமை பெற காரணம். ஆனால் புயல் கரையை கடக்கும் போது கொஞ்சம் வலிமை குறைய வாய்ப்பு உள்ளது, என்று இந்திய வானிலை மையம் கூறியுள்ளது.
-
டெல்லி தந்த கிரீன் சிக்னல்.. 4 வழியாக மாறும் தமிழ்நாட்டின் மூன்று முக்கிய சாலைகள்.. மெகா பிளான்! -
அதிமுக கூட்டணியில் பாமகவுக்கு 18, அமமுகவுக்கு 11 தொகுதிகள் ஒதுக்கீடு! -
PHH, AAY ரேஷன் கார்டுதாரர்களுக்கு முக்கிய அறிவிப்பு! கார்டு காலி ஆயிடும்..ரேகை வைக்கலைனா ப்ளாக் தான் -
நாகர்கோவில் எம்எல்ஏ காந்திக்கு கல்தா.. பாஜக தலைமை முடிவால் கலக்கம் -
பெட்ரோல் இல்லை.. ஆசிய நாடுகளுக்கு ‘நோ’ சொன்ன அராம்கோ? உலக அரசியலே தடம் புரள போகுது? -
பாரதத்தின் நிரந்தர பிரதமர்.. வட இந்தியாவில் திமுக சிலிண்டர் விளம்பரம் ஹிட்.. தர்ம சங்கடத்தில் பாஜக -
தங்கக் காசு மூலம் டிரம்ப் வேலையை காட்டிட்டாரு! அமெரிக்காவில் தங்க நாணயம் தந்த அதிர்ச்சி -
10 பைசா கூட வராது.. தங்கத்தை மொத்தமாக விற்கும் முதலீட்டாளர்கள்.. நெருங்கி வரும் பேரழிவு? -
தேமுதிகவுக்கு எத்தனை தொகுதிகள்? எங்கெங்கு போட்டியிடுகிறார்கள்? உத்தேச பட்டியல் இதுதானா? -
பாஜகவுக்கு 27 சீட்.. என்.டி.ஏ கூட்டணியில் தொகுதி பங்கீட்டை இறுதி செய்து அறிவித்தார் எடப்பாடி! -
பவரை காட்டுவோம்! மொத்த உலக நாடுகளையும் பீதியில் ஆழ்த்திய டிரம்ப் சொன்ன வார்த்தை! பெருசா நடக்க போகுது -
சர்ருன்னு ஏறிய பாஜக சீட் கணக்கு.. கடந்த தேர்தல்களில் பாஜக போட்டியிட்ட தொகுதிகள் எத்தனை?












Click it and Unblock the Notifications