பெட்ரோல் பங்க் ஷாக்.. பெட்ரோல் பங்குகளில் ஒரே கூட்டம் - தட்டுப்பாடு.. சென்னை அண்ணாநகரில் பரபரப்பு
சென்னை: சென்னையில் பலத்த மழை பெய்துள்ள நிலையில், அத்தியாவசிய பொருட்களுக்கு தட்டுப்பாடு ஏற்பட்டுள்ளது. அந்தவகையில், பெட்ரோலுக்கும் தட்டுப்பாடு ஏற்பட்டு வருவதால், வாகன ஓட்டிகள் கலக்கமடைந்துள்ளனர்.
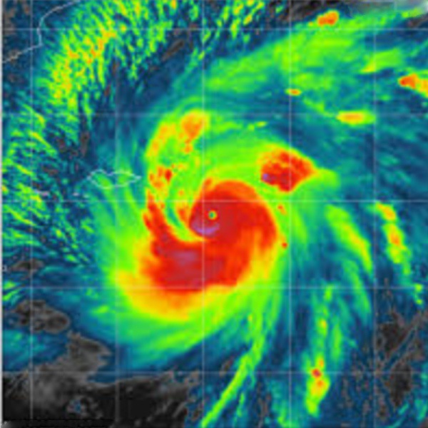
சென்னை, காஞ்சிபுரம், திருவள்ளூர், செங்கல்பட்டு ஆகிய மாவட்டங்களில் விடாமல் மழை பெய்து வருகிறது. இதில், சென்னையின் சாலைகள் எல்லாமே வெள்ளக்காடாக காட்சி தருகின்றன.. போக்குவரத்து துண்டிக்கப்பட்டுள்ளது.. ரயில், பஸ் சேவைகள் ரத்து செய்யப்பட்டுள்ளன. அவசர தேவைக்கு மட்டும் பேருந்துகள் இயக்கப்பட்டு வருகின்றன.

புயல் திருவள்ளூர் மாவட்டத்தில் நிலை கொண்டு உள்ளதால் திருவள்ளூர், ஆவடி உள்ளிட்ட பகுதிகள் தத்தளித்து வருகிறது. நாளை காலை வரை 50 செ.மீ மழை பெய்யும் என்பதால் பொதுமக்கள் யாரும் வெளியே வர வேண்டாம் என்று தமிழக அரசு எச்சரிக்கை விடுத்திருக்கிறது.
நிவாரண பணிகள்: இதனிடையே, நிவாரண பணிகளில் சென்னை மாநகராட்சி முழுவீச்சில் இறங்கி உள்ளது.. வெள்ள நீரில் யாராவது சிக்கிக்கொண்டால், 1913 எண்ணுக்கு அழைக்கலாம் என்று அறிவித்திருக்கிறது.. இதற்காக, மாநில பேரிடர் மீட்புக் குழுவினர் படகுகள், தண்ணீரில் இருக்கும்போது பயன்படுத்தப்படும் டியூப்கள் உள்ளிட்டவைகளுடன் தயார் நிலையில் உள்ளனர் என்றும் அறிவித்துள்ளது.
பொதுமக்களை பாதுகாப்பாக தங்க வைப்பதற்காக 162 முகாம்கள் அமைக்கப்பட்டிருக்கின்றன.. உணவு கிடைக்காத 1,39,000 பேருக்கு மாநகராட்சி சார்பில் உணவு வழங்கப்பட்டுள்ளது. இதைத்தவிர, மாநகராட்சிக்கு சொந்தமான சமுதாய நலக்கூடம், அம்மா உணவகம் உள்ளிட்ட இடங்களுக்கு தொடர்ந்து உணவு தயாரிக்கப்பட்டு மக்களுக்கு வழங்கப்பட்டு வருகிறது.
மளிகை கடை: அத்தியாவசிய தேவைகள் தவிர்த்து அரசு, தனியார் அலுவலகங்கள், டாஸ்மாக், ரேஷன் கடைகள் என அனைத்தும் மூடப்பட்டுள்ளன. மளிகை கடைகள் கூட மூடிவிட்டதால் , பெரும்பாலான மக்கள் அவதிக்கு ஆளாகிவிட்டனர்.
சென்னையில் பல இடங்களில் பெட்ரோல் பங்க்குகள் அடைக்கப்பட்டுள்ளன.. இதனால் தலைநகர்ல் பெட்ரோல், டீசலுக்கும் கடும் தட்டுப்பாடு ஏற்பட்டுள்ளது. தற்போது, அண்ணாசாலை மற்றும் கோட்டூர்புரம் உள்ளிட்ட பகுதிகளில் பெட்ரோல், டீசல் தட்டுப்பாடு ஏற்பட்டுள்ளதாக அறிவிப்பு வெளியாகியுள்ளது.

வாகன ஓட்டிகள்: ஏற்கனவே, சென்னையில் பெய்து வரும் கனமழையால் பொதுமக்கள் வெள்ளத்தில் தத்தளித்து கொண்டிருக்கும்போது, நிறைய வாகன ஓட்டிகளில் சாலைகளிலேயே மழைநீரில் சிக்கி உள்ளனர்..
இடுப்பு வரை தண்ணீர் நிற்பதால், அவர்களால் வாகனங்களுடன் நகர்ந்து வர முடியாமல், சாலைகளிலேயே தவித்து வருகிறார்கள். இப்போது, பெட்ரோல், டீசல் தட்டுப்பாடும் ஏற்பட்டுள்ளதால் வேறு பகுதிகளுக்கு சென்று பெட்ரோல், டீசல் வாங்க முடியாமலும் அவதிக்கு ஆளாகி உள்ளனர். இதனால், பெட்ரோல், டீசல் கிடைக்கும் பங்க்குகளுக்கு சென்று, பெட்ரோல், டீசலை கேன்களில் வாங்கி செல்கிறார்கள். இதனால் நிறைய பெட்ரோல் பங்குகளில் கூட்டம் நிறைந்து காணப்படுகிறது.
-
கேஸ் மானியம் ₹300 வந்தாச்சா? வங்கிக்கு போகவே வேண்டாம்… வீட்டிலேயே 2 நிமிஷத்தில் தெரிஞ்சுக்கலாம் -
தங்கத்தில் இனி 1 மில்லி கிராம் கூட ஏமாற்ற முடியாது! 7 மாவட்டத்துக்கு ஹேப்பி! அரசின் பாதுகாப்பு கவசம் -
வங்கி கணக்கில்.. அரசு அனுப்பிய ரூ.2000! உங்களுக்கு வந்துடுச்சா.. மொபைலிலேயே செக் செய்வது எப்படி? -
56 out of 234: விசிகவுக்கு "6+2!" திமுக கூட்டணியில் எந்தெந்த கட்சிகளுக்கு எத்தனை தொகுதிகள்? -
வைகோவால் 25 சீட் போச்சு.. அன்புமணியால் திமுகவுக்கு 50 சீட் காலி.. 2016இல் விஜயகாந்த் விழுந்த கதை! -
தேமுதிக 10 தொகுதிகளில் போட்டி.. 21 ஆண்டு வரலாற்றில் மிகக் குறைவான சீட்களில் நிற்பது இந்த முறைதான்! -
ஆதார் கார்டு வைத்திருப்போருக்கு குட் நியூஸ்.. பிஎம் ஸ்வநிதி திட்டத்தில் ₹50,000 கடன் கிடைக்குமா? -
வேளச்சேரி - பரங்கிமலை MTRS.. 80 நிமிடப் பயணம் வெறும் 15 நிமிடம்.. எஸ்ஜி சூர்யாவின் நிஜ அனுபவம் -
சர்க்கரை அட்டைதாரர்களுக்கு சூப்பர் வசதி… ரேஷன் கடைக்கு போறீங்களா? தமிழக அரசின் திடீர் உத்தரவு -
டிரம்ப் வயிற்றில் பாலை வார்த்த ஈரான்.. அமெரிக்காவுக்கு முதல் முறையாக பச்சைக்கொடி -
தங்க வேட்டை.. உலக நாடுகளின் 'பக்கா' பிளான்.. மத்திய வங்கிகள் முண்டியடிப்பதன் பின்னணி என்ன? -
அமெரிக்காவை வீழ்த்தும் ஈரான்.. ஆட்டம் காணும் மிதக்கும் அரண்மனை.. ஒரே இரவில் பஸ்பம் ஆன $13000000000!












Click it and Unblock the Notifications