மாறுதே வானம்.. அடிச்சு நொறுக்குது மழை..தமிழக மாவட்டங்களில் பள்ளிகளுக்கு எங்கெல்லாம் விடுமுறை பாருங்க
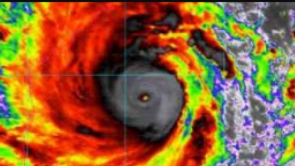
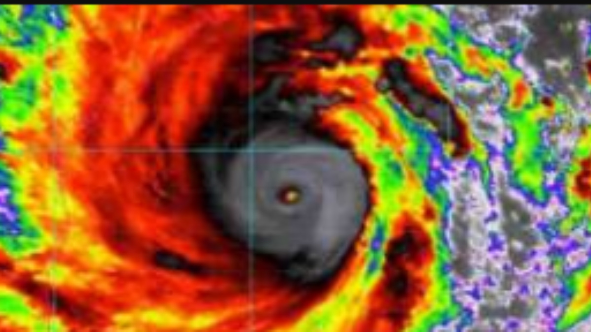
சென்னை: தமிழகத்தில் காற்றின் மேற்கு திசை மாறுபாடு காரணமாக நீலகிரி, கோயம்புத்தூர் உள்ளிட்ட 5 மாவட்டங்களில் கன முதல் மிக கனமழை பெய்யும் என்று வானிலை ஆய்வு மையம் தகவல் தெரிவித்துள்ளது.
கேரள மாநிலத்தில் தென்மேற்கு பருவமழை இந்த வருடம் தாமதமாக துவங்கியுள்ள நிலையில், கடந்த வாரங்களில் நல்ல மழை பெய்து வருகிறது.
மழை: மேற்கு தொடர்ச்சி மலையோர மாவட்டங்களான திருவனந்தபுரம், பத்தனம்திட்டா, கோட்டையம், கண்ணூர், காசர்கோடு உள்ளிட்ட மாவட்டங்களில் மழை தொடர்ந்து பெய்து வருகிறது. இதனால் காட்டாறுகளில் வெள்ளப்பெருக்கு ஏற்பட்டுள்ளது.

அதேபோல, கடந்த 2 நாட்களாக பெய்து வரும் கனமழை காரணமாக திருச்சூர் மாவட்டத்தில் உள்ள புகழ்பெற்ற அதிரப்பள்ளி நீர்வீழ்ச்சிக்கு நீர்வரத்து அதிகரித்து காணப்படுகிறது. தமிழகத்திலும், தொடர்ந்து மழை பெய்து வரும்நிலையில், இந்த மழை மாநிலம் முழுவதும் 2 நாட்களாகவே அதிகரித்து வருகிறது.. அந்தவகையில், நீலகிரி, கோயம்புத்தூர் உள்ளிட்ட மாவட்டங்களில் கனமழை, மற்றும் மிக கனமழை கொட்டி வருகிறது..
காற்றின் மாறுபாடு: இந்த நிலையில் சென்னை வானிலை ஆய்வு மையம் மற்றொரு அறிவிப்பை வெளியிட்டுள்ளது. அந்த அறிக்கையில், மேற்கு திசை காற்றின் வேக மாறுபாடு காரணமாக இன்று தமிழகத்தில் நீலகிரி, கோயம்புத்தூர், தேனி தென்காசி, திண்டுக்கல், நாகை ஆகிய மாவட்டங்களில் கன முதல் மிக கனமழை பெய்ய வாய்ப்புள்ளது. அதனை தொடர்ந்து ஜூலை 6, 7, 8, 9 ஆகிய நாட்களில் கனமழை பெய்யக்கூடும் என்றும் தகவல் தெரிவிக்கப்பட்டுள்ளது.
சென்னையை பொறுத்தவரை அடுத்த 48 மணி நேரத்திற்கு வானம் மேக மூட்டத்துடன் காணப்படும். நகரின் சில இடங்களில் இடி மின்னலுடன் கூடிய லேசான மழைக்கு வாய்ப்பு உள்ளது.மேலும் ஜூலை 9 வரை தெற்கு இலங்கை கடலோர பகுதிகள், தென்மேற்கு வங்க கடல், அரபிக் கடலின் பகுதிகள் ஆகியவற்றில் சூறாவளி காற்று மணிக்கு 65 கி. மீ வேகத்தில் வீசப்படும். அதனால் மீனவர்கள் மேற்கண்ட கடல்பகுதிகளுக்கு செல்ல வேண்டாம் என்று அறிவுறுத்தப்பட்டுள்ளது.
கேரளா: இதனிடையே, கேரளாவில் பெய்துவரும் கனமழையின் எதிரொலியாக நீலகிரி மாவட்டத்திலும் மழை பெய்துவருகிறது. தொடர் கனமழை காரணமாக உதகை, குந்தா, கூடலூர், பந்தலூர் தாலுக்காக்களில் உள்ள பள்ளிகளுக்கு நாளை விடுமுறை அளிக்கப்படுவதாக மாவட்ட ஆட்சியர் அம்ரித் அறிவித்துள்ளார்.
வால்பாறை: அதேபோல, கோவை மாவட்டம் வால்பாறை பகுதியில் வெள்ளப்பெருக்கு ஏற்பட்டதையடுத்து மீட்பு பணிகள் முடுக்கி விடப்பட்டுள்ளது... வால்பாறை வட்டத்திலுள்ள பள்ளிகள், கல்லூரிகளுக்கு விடுமுறை அறிவிப்பு அறிவிக்கப்பட்டுள்ளது.. மேலும், தேனி, தென்காசி, திண்டுக்கல் ஆகிய மாவட்டங்களிலும் மழைக்கு வாய்ப்புள்ளதாக வானிலை ஆய்வு மையம் தெரிவித்துள்ளதால், அந்த மாவட்டங்களுக்கும் பள்ளிகளுக்கு விடுமுறை அளிக்கப்படுமா? என்ற எதிர்பார்ப்பு ஏற்பட்டு வருகிறது.
-
தென்மேற்கு பருவமழை தாமதமாவது ஏன்? புதிய தேதியை அறிவித்த வானிலை மையம்.. அதிகரிக்கும் எல் நினோ அச்சம்! -
ஹனிமூன் பீரியட் எங்கே? ஸ்டாலின் போல விஜய் அதிர்ஷ்டசாலி இல்லை! சிக்கலாகும் மின்சாரம், சட்டம் ஒழுங்கு? -
பயிர் கடன் ரூ.3 லட்சம்.. ஆனால் தள்ளுபடி வெறும் ரூ.50 ஆயிரமா? விஜய் அறிவிப்பால் விவசாயிகள் ஏமாற்றம் -
தமிழ்நாடே குளுகுளுவென மாறப்போகிறது.. 11 மாவட்டங்களில் இன்று கனமழை.. எந்தெந்த மாவட்டம்? -
தமிழ்நாட்டின் புதிய டிஜிபி யார்? 3 சீனியர் ஐபிஎஸ் பெயர்களுக்கு யுபிஎஸ்சி ஒப்புதல்.. யார் இவர்கள்? -
பிச்சு உதற போகுது கனமழை.. 7 மாவட்டங்களில் டமால் டுமீல் தான்! வங்கக்கடல் சக்கரத்தால் இனி கூலிங் தான்! -
ஐபிஎஸ் டிரான்ஸ்ஃபர்! காத்திருப்போர் பட்டியலில் இருந்த அருண் IPS-க்கு சூப்பர் பதவி கொடுத்த விஜய் -
50% அல்லது 69%? உச்ச நீதிமன்றத்தில் நாளை தமிழகத்தின் இட ஒதுக்கீடு சட்டப் போர்! பின்னணி என்ன தெரியுமா -
திரையரங்குகளில் 5 காட்சிகளுக்கு அனுமதி! முதலமைச்சர் விஜய் அதிரடி உத்தரவு! திரை துறையினர் ஹேப்பி! -
இடைத்தேர்தலில் மீண்டும் மதுராந்தகம் தொகுதியில் போட்டியிடுவீர்களா? மரகதம் குமரவேல் ரியாக்ஷன் என்ன? -
இந்தியாவை பந்தாட வரும் பிரச்சனை.. எல் நினோ + ஹார்முஸ் நெருக்கடி.. RBI-க்கு தலை சுற்றுகிறது! -
பிரான்சில் மட்டும் 7 பேர் பலி.. 80 ஆண்டுகளில் இல்லாத அளவுக்கு ஐரோப்பாவை வாட்டும் அதீத வெயில்!












Click it and Unblock the Notifications