தேஜ் புயல் "அதி தீவிரமானது".. வங்கக்கடலில் 25ம் தேதி நடக்குது மாற்றம்.. தமிழ்நாட்டில் 4 நாளைக்கு மழை
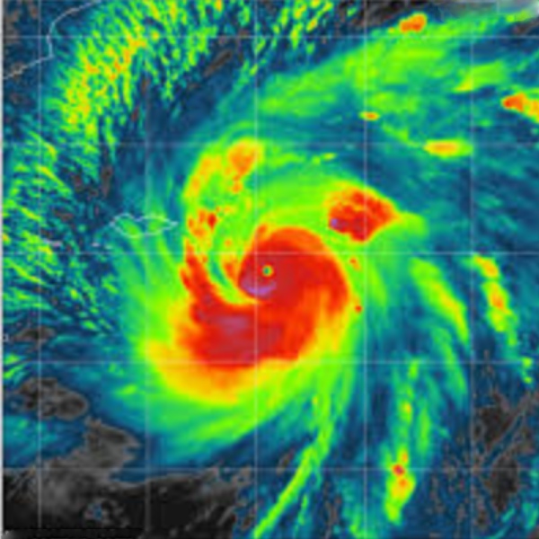
சென்னை: வங்கக்கடலில் நிலை கொண்டுள்ள காற்றழுத்த தாழ்வு மண்டலம், ஆழ்ந்த காற்றழுத்த தாழ்வு மண்டலமாக வலுப்பெற்றுள்ள நிலையில், வரும் 25ம் தேதி வங்கதேசத்தில் கரையைக் கடக்கும் என்று அறிவிக்கப்பட்டுள்ளது.
தமிழ்நாட்டில் இந்த வருடம் தொடங்க வேண்டிய வட கிழக்கு பருவமழை நேற்று முன்தினம் பெய்ய தொடங்கியுள்ளது.. இந்த பருவத்தில் முதற்கட்டமாக 21ம் தேதியில் தென் கிழக்கு மற்றும் அதை ஒட்டிய மத்திய வங்கக் கடல் பகுதிகளில் ஒரு ஆழ்ந்த காற்றழுத்த தாழ்வுப்பகுதி உருவானது.

வங்கக்கடல்: அந்த காற்றழுத்த தாழ்வுப் பகுதி மத்திய மேற்கு வங்கக் கடல் பகுதிக்கு நகர்ந்து காற்றழுத்த தாழ்வு மண்டலமாக வலுப்பெற்றதுடன் நேற்று காலையில் ஒடிசாவுக்கு தெற்கே சுமா் 590 கிமீ தொலைவிலும், மேற்கு வங்கத்துக்கு 740 கிமீ தொலைவிடும் நிலை கொண்ட நிலையில், ஆழ்ந்த காற்றழுத்த தாழ்வு மண்டலமாக மாறி வடமேற்கு திசையில் நகர்ந்து செல்கிறது.. எனவே, வரும் 25ம் தேதி சிட்டகாங் வழியாக வங்கதேசம் வழியாக கரையைக் கடக்கும் என்றும் கணிக்கப்பட்டுள்ளது.
தேஜ் புயல்: அதேபோல, தென்மேற்கு அரபிக்கடல் பகுதிகளில் நிலவிய தேஜ் புயல், வடமேற்கு திசையில் அடுத்த 3 தினங்களில் நகர்ந்து 24ம் தேதியன்று, மிகத்தீவிர புயலாக ஏமன் மற்றும் ஓமன் கடற்கரையை கடக்கக்கூடும். அப்போது, காற்றின் வேகம் மணிக்கு 115 முதல் 125 கிலோ மீட்டர் வேகத்திலும் இடையிடையே 140 கிலோ மீட்டர் வேகத்திலும் வீசக்கூடும்.
மேலும், வங்கக்கடலில் மத்திய மேற்கு வங்கக் கடல் பகுதியில் இன்று முதல் 25ம் தேதி வரை காற்றின் வேகம் படிப்படியாக உயர்ந்து மணிக்கு 60 கிமீ வேகத்திலும் இடையிடையே 70 கிமீ வேகத்திலும் வீசக்கூடும்.
எனவே, இன்றைய தினம், அதாவது 23ம் தேதி, மற்றும் 26ம் தேதிகளில் தென்தமிழகத்தில் ஒரு சில இடங்களிலும், வடதமிழகம், புதுச்சேரி மற்றும் காரைக்கால் பகுதிகளில் ஓரிரு இடங்களிலும் இடி மின்னலுடன் கூடிய லேசானது முதல் மிதமான மழை பெய்யக்கூடும் என்றும், 27 மற்றும் 28ம் தேதிகளில் தமிழ்நாடு, புதுச்சேரி, காரைக்கால் பகுதிகளில் ஓரிரு இடங்களில் லேசானது முதல் மிதமான மழை பெய்யக்கூடும் என்றும் வானிலை மையம் ஏற்கனவே கணித்து கூறியிருந்தது.
அரபிக்கடல்: எனினும், அரபிக் கடலில் உருவாகியுள்ள தேஜ்புயல், ஓமன், ஏமன் கடற்கரைகளுக்கு இடையே கரையை கடக்க உள்ளதாக கூறியிருப்பதால், தமிழக மாவட்டங்களுக்கு, குறிப்பாக, கன்னியாகுமரி உள்ளிட்ட மாவட்டங்களுக்குகூட, இதனால் எந்தவிதமான பாதிப்பும் இருக்காது என்றும் அறிவிக்கப்பட்டுள்ளது.

இந்நிலையில், இன்று முதல் 4 நாட்களுக்கு தமிழகத்தில் பலத்த மழை பெய்யும் என்று வானிலை மையம் தகவல் வெளியிட்டுள்ளது.. இன்று 23ம் தேதி முதல் 26ம் தேதி வரை, தென்தமிழகத்தில் ஒரு சில இடங்களிலும், வடதமிழகம், புதுச்சேரி மற்றும் காரைக்கால் பகுதிகளில் ஓரிரு இடங்களிலும் இடி மின்னலுடன் கூடிய லேசானது முதல் மிதமான மழை பெய்யக்கூடும், 27, 28 தேதிகளில் தமிழ்நாடு, புதுச்சேரி, காரைக்கால் பகுதிகளில் ஓரிரு இடங்களில் லேசானது முதல் மிதமான மழை பெய்யக்கூடும் என்றும் கூறப்பட்டுள்ளது.
சென்னை: சென்னை மற்றும் புறநகர் பகுதிகளைப் பொறுத்தவரை அடுத்த 48 மணி நேரத்திற்கு வானம் ஓரளவு மேகமூட்டத்துடன் காணப்படும். நகரின் ஒருசில பகுதிகளில் இடி மின்னலுடன் கூடிய லேசான / மிதமான மழை பெய்யக்கூடும். அதிகபட்ச வெப்பநிலை 33-34 டிகிரி செல்சியஸ் மற்றும் குறைந்தபட்ச வெப்பநிலை 25 டிகிரி செல்சியஸை ஒட்டியும் இருக்கக்கூடும் என்று வானிலை ஆய்வு மையம் எச்சரிக்கை விடுத்திருப்பது குறிப்பிடத்தக்கது.
-
தமிழ் புத்தாண்டு பலன்: கன்னி ராசிக்கு 100 மார்க்.. ரேஞ்சே மாறப்போகுது.. பொற்காலம் ஆரம்பம் -
கோவை வடக்கு, மயிலாப்பூர்.. பாஜக போட்டியிடும் 27 தொகுதிகள் எவை? எடப்பாடி பழனிசாமி வெளியிட்ட அறிவிப்பு -
பிள்ளையை கிள்ளி விட்ட இஸ்ரேல்.. தொட்டிலை ஆட்டும் அமெரிக்கா! வெறி கொண்டு அடிக்கும் ஈரான்.. குண்டு மழை -
உளவுத்துறை சொன்னது என்ன? 155 சீட் பின்னணியில் அமித்ஷா தந்த கிரீன் சிக்னல்! எடப்பாடி முகம் பிரகாசம் -
3 அமைச்சர்களை எதிர்க்கும் தமாக! அதிமுக – பாஜக வழங்கிய தொகுதியை கவனிச்சீங்களா.. 5 தொகுதியும் கடினம் -
கரண்ட் பில் இலவசம்? இனி கட்ட வேண்டாமா? மத்திய அரசு ₹78,000 மானியம்! உங்க வீட்டிற்கு எப்படி வாங்குவது -
பிடுங்கப்படும் டிரம்பின் பவர்! அதிபர் பதவியிலேயே இருந்தாலும் அதிகாரம் இருக்காது.. நிலைமை மோசம்! -
நல்ல காலம் பொறக்குது.. தங்கம், வெள்ளியை முடிஞ்ச அளவு வாங்குங்க! ‘கோல்டுமேன்’ அடுக்கும் காரணங்கள்! -
மருமகள் உள்ளே, சீனியர் வெளியே? 55 கால சாம்ராஜ்ஜியத்திற்கு செக்! காட்பாடி திருப்பத்தின் பின்னணி என்ன -
இரட்டை இலையை விட்டுவிட்டு.. தாமரைக்கு தாவும் கூட்டணி கட்சிகள்! எங்கேயோ இடிக்குதே! -
ஈரானை சுத்துப்போடும் ‘பாராசூட் அட்டாக்’ டீம்.. டிரம்ப் பெரிய பிளான்.. போர் இப்போதைக்கு முடியாது? -
10 சவரன் கையில், 8 சவரன் பில்லில்! பழைய நகையை மாற்றினால் நடக்கும் ரகசியம்.. ஏமாறாமல் இருக்க இதோ வழி












Click it and Unblock the Notifications