பிச்சி உதறுது மழை.. தமிழ்நாட்டின் இந்த 6 மாவட்டங்களுக்கும் கனமழை எச்சரிக்கை.. வந்தது மேஜர் அறிவிப்பு
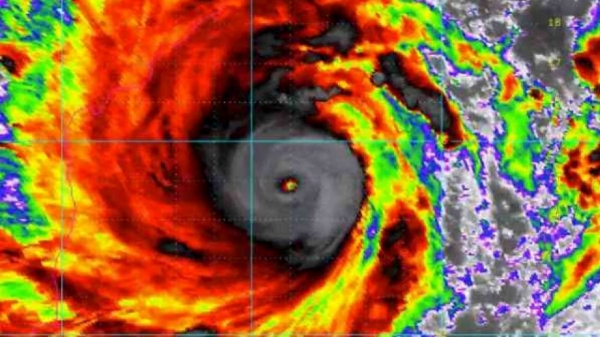
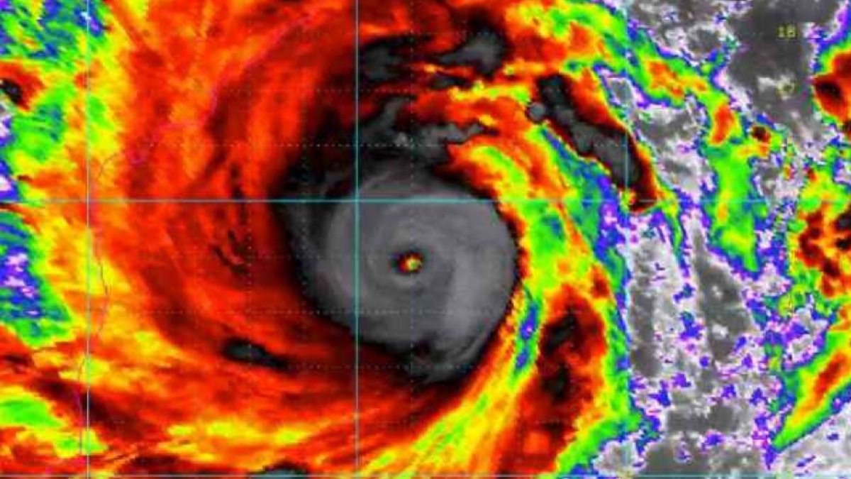
சென்னை: வளிமண்டல சுழற்சி மேற்கு திசை காற்று காரணமாக தமிழ்நாட்டில் அடுத்த 3 நாட்களுக்கு பரவலாக மழைக்கு வாய்ப்பு இருப்பதாக சென்னை வானிலை மையம் தெரிவித்துள்ளது.
தெற்கு வங்கக் கடல் பகுதிகளின் மேல் வளிமண்டல சுழற்சி நிலவுவதாலும், மேற்கு திசை காற்றின் வேக மாறுபாடு காரணமாகவும், தமிழகத்தில் தொடர்ந்து மழை பெய்ய உள்ளதாக கூறப்பட்டு வந்தது.

அதன்படியே, கடந்த 2, 3 நாட்களாகவே தொடர் மழை தமிழகத்தின் மாவட்டங்களிலும் பெய்து வருகிறது.. இதனிடையே, வானிலை மையம் வெளியிட்டிருந்த அடுத்தடுத்த அறிவிப்புகளிலும் வரும் 6ம் தேதி வரை தமிழ்நாட்டில் மழைக்கு வாய்ப்பு உள்ளதாக தெரிவிக்கப்பட்டிருந்தது.. இந்நிலையில், நேற்றைய தினமும் ஒரு அறிவிப்பு வெளியிடப்பட்டுள்ளது.
மாவட்டங்களில் மழை: அந்த அறிவிப்பில் "நீலகிரி, கோவை, திருவள்ளூா், சென்னை, செங்கல்பட்டு, காஞ்சிபுரம், விழுப்புரம், கடலூா் ஆகிய மாவட்டங்கள் மற்றும் புதுச்சேரியில் ஓரிரு இடங்களில் பலத்த மழை பெய்ய வாய்ப்புள்ளது. இன்று திங்கள்கிழமை (ஜூலை 3) தமிழ்நாடு, புதுச்சேரி மற்றும் காரைக்கால் பகுதிகளில் அநேக இடங்களில் இடி மின்னலுடன் கூடிய லேசானது முதல் மிதமான மழை பெய்யக்கூடும்.
நாளை, செவ்வாய்க்கிழமை (ஜூலை 4) நீலகிரி மற்றும் கோவை மாவட்டங்களில் ஓரிரு இடங்களில் பலத்த முதல் மிக பலத்த மழையும், திருப்பூர், திண்டுக்கல், தேனி, தென்காசி, திருநெல்வேலி, கன்னியாகுமரி, திருப்பத்தூர், வேலூர், ராணிப்பேட்டை, திருவள்ளூர், காஞ்சிபுரம் ஆகிய மாவட்டங்களில் ஓரிரு இடங்களில் பலத்த மழையும் பெய்ய வாய்ப்புள்ளது.
ஆரஞ்சு அலர்ட்: நாளை மறுநாள், புதன்கிழமை (ஜூலை 5) நீலகிரி, கோயம்புத்தூர், திருப்பூர், திண்டுக்கல், தேனி மற்றும் தென்காசி ஆகிய மாவட்டங்களில் ஓரிரு இடங்களில் பலத்த மழை பெய்ய வாய்ப்புள்ளது. சென்னை, புகர் பகுதிகளில் அடுத்த 48 மணி நேரத்தில் வானம் ஓரளவு மேகமூட்டத்துடன் காணப்படும்.
வளிமண்டல சுழற்சி மேற்கு திசை காற்று காரணமாக தமிழ்நாட்டில் தொடர்ந்து 3 நாட்களுக்கு பரவலாக மழைக்கு வாய்ப்பு உள்ளது.. இன்று திங்கள் கிழமை, 5 மாவட்டங்களுக்கு மிக கனமழைக்கான ஆரஞ்சு அலர்ட் விடுக்கப்பட்டுள்ளது.. குறிப்பாக, திருவள்ளூர், ராணிப்பேட்டை, காஞ்சிபுரம், நீலகிரி மற்றும் கோவை மாவட்டங்களில் ஓரிரு இடங்களில் கன முதல் மிக கனமழை பெய்யும்.
பள்ளி விடுமுறையா: திருப்பூர், திண்டுக்கல், தேனி, தென்காசி, திருநெல்வேலி, கன்னியாகுமரி, கடலூர், விழுப்புரம், செங்கல்பட்டு, சென்னை மாவட்டங்கள் மற்றும் புதுச்சேரியில் ஓரிரு இடங்களில் நாளை கனமழை பெய்யக்கூடும்" என்று வானிலை மையம் அறிவித்துள்ளது. மாவட்டங்களில் தொடர் மழை என்பதாலும், இன்றையதினம் ஆரஞ்ச் அலர்ட் விடுக்கப்பட்டுள்ளதாலும் பள்ளிகளுக்கு விடுமுறை அறிவிக்கப்படுமா? என்ற கேள்வியும் எழுந்துள்ளது.
-
அதிமுக வேட்பாளர் பட்டியலில் இதை கவனிச்சீங்களா! ஆதிதிராவிடர்கள் இல்லையே.. ஷாக் ரிப்போர்ட் -
மதுரைக்காரர் பிடிஆர்! இனி மயிலாப்பூர்காரர்! தொகுதி மாறுகிறார் பழனிவேல் தியாகராஜன்! ஸ்டாலின் முடிவு? -
தர்மத்திற்காக கொடுத்தாரா.. தவறாக கொடுத்தாரா.. பாஜகவின் 27 தொகுதிகள்... எடப்பாடி தப்புக்கணக்கு! -
ஈரோட்டில் வெளுத்த வெயில்.. 100 டிகிரியை தாண்டியது! வேலூருக்கு இரண்டாவது இடம் -
காஞ்சிபுரம் - பெரம்பலூர் உள்பட 4 மாவட்டங்களில் புதிய எஸ்பிக்கள் நியமனம்.. தேர்தல் ஆணையம் அதிரடி -
வணிக சிலிண்டர்கள் விநியோகத்தை 70% ஆக உயர்த்திய மத்திய அரசு.. யாருக்கு முன்னுரிமை? -
எடப்பாடி ஷாக்.. பாஜகவின் பிக் பிரதர் பிளான்.. தாமரைச் சின்னத்தில் அடைக்கலம் தேடும் கூட்டணி கட்சிகள் -
நாகர்கோவில் தொகுதியை.. தூக்கி கொடுத்த எடப்பாடி பழனிசாமி! போராட்டத்தில் குதித்த அதிமுக மகளிர் அணி -
சிலர் சிரிப்பார்! சிலர் அழுவார்! நாங்கள் சிரித்துக் கொண்டே அழுகின்றோம்! திமுகவால் புலம்பும் மதிமுக -
மாநில முதலமைச்சர்களுடன்.. பிரதமர் மோடி முக்கிய மீட்டிங்! மு.க.ஸ்டாலின் பங்கேற்காதது ஏன்? -
ஒரே மேடையில் அறிமுகப்படுத்தப்படும் 234 வேட்பாளர்கள்! ஃபயர் மோடில் விஜய்! தயாரான தவெக! -
கோவையை விடுங்க.. மொத்தமாகவே ஏமாந்த பாஜக! அதிமுக மீது உச்சகட்ட அதிருப்தியில் அண்ணாமலை












Click it and Unblock the Notifications