மாண்டஸுக்கு பிறகு.. இந்த ஆண்டின் முதல் புயல் மோக்கா! பெயர் வைத்தது யார் தெரியுமா? எங்கு பாதிக்கும்?
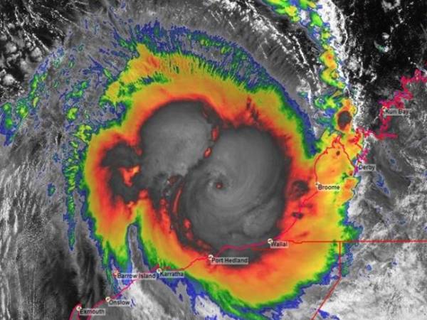
சென்னை: இந்த ஆண்டின் முதல் புயலாக மோக்கா வரும் 7ஆம் தேதி வங்கக் கடலில் உருவாகும் என தெரிவிக்கப்பட்டுள்ளது.
கோடைகாலம் தொடங்கிவிட்டது! வெயில் சுல்லென்று அடிக்கிறது. இந்த கோடைக்கு இதமாக மக்கள் ஊட்டி, கொடைக்கானல், ஏற்காடு உள்ளிட்ட கோடை வாசஸ்தலங்களுக்கு சென்று வருகிறார்கள்.
ஆனால் கோடை வெயிலின் சூட்டை குறைக்க கடந்த இரு தினங்களாக தமிழகத்தின் பல்வேறு பகுதிகளில் மழை பெய்து வருகிறது. சில இடங்களில் சாரல் மழையையும் சில இடங்களில் கனமழையையும் கொடுக்கிறது.

இந்த நிலையில் தென் கிழக்கு வங்கக்கடலில் குறைந்த காற்றழுத்தம் வரும் 7ஆம் தேதி உருவாகிறது என வானிலை மையம் தெரிவித்துள்ளது. இது வலுவடைந்து புயலாக மாற வாய்ப்புள்ளதாகவும் கூறப்படுகிறது. இதனால் அடுத்த வாரம் 10-ஆம் தேதி அல்லது 11 ஆம் தேதி புயலாக மாற வாய்ப்புள்ளதாக தெரிகிறது. இது தற்போது ஏற்பட்டுள்ள வானிலை காரணிகளை வைத்து புயல் உருவாகும் என கணிக்கப்பட்டுள்ளது.
அப்படியே புயல் உருவானாலும் இது இந்த ஆண்டின் முதல் புயல் என்றும் இதற்கு மோக்கா என்றும் பெயரிடப்படலாம் என தெரிகிறது. இந்த பெயரை ஏமன் சூட்டியுள்ளது. இதற்கு முன்னர் யாஸ், ஆம்பன் உள்ளிட்ட புயல்கள் மே மாதத்தில் பாதிப்பை ஏற்படுத்தியிருந்தன. இது எந்த திசையை நோக்கி பயணிக்கிறது என்பதை பொருத்தே புயல் எந்த இடத்திற்கு பாதிப்பை ஏற்படுத்தும் என்பது கணிக்க முடியும்.
வங்கக் கடலில் கடந்த காலங்களில் உருவான புயல்கள் நேரடியாகவும் மறைமுகமாகவும் பாதிப்பை ஏற்படுத்தியிருந்தன. அந்த வகையில் தற்போது இந்த புயலின் வழித்தடத்தை மாநில அரசு கண்காணித்து வருகிறது. பொதுவாக கடலில் அதிக அளவுக்கு வெப்பமும் குறைந்த காற்றும் இருந்தால் அதுவே புயல் உருவாக உகந்த சூழலாகும்.

மே மாதம் உருவாகும் புயல்களை கணிப்பதே கடினம் என்கிறார்கள், கடந்த 2019ஆம் ஆண்டு ஃபனி புயல் திடீரென உருவாகி ஒடிஸாவை தாக்கி அங்கு அதிக அளவு சேதத்தை ஏற்படுத்தியது என்பதால் ஒடிஸா பேரிடர் மீட்பு குழுவினர் தயார் நிலையில் இருக்கிறார்கள். அது போல் தாழ்வாக வசிக்கும் இடங்களில் உள்ள மக்கள் பாதுகாப்பான இடத்திற்கு செல்ல ஏற்பாடுகள் செய்யப்படும்.
வரும் 7ஆம் தேதி தென் கிழக்கு வங்கக் கடல் பகுதிக்கு சிறிய படகுகள், கப்பல்களை வைத்திருக்கும் மீனவர்கள் செல்ல வேண்டாம் என அறிவுறுத்தப்பட்டுள்ளன. இந்திய பெருங்கடல் பகுதியில் ஏப்ரல் மே மாதம் ஆகிய காலமும் பருவகாலம் ஆகும். மே மாதம் அளவுக்கு அதிகமான புயல்கள் உருவாகியுள்ளன. அக்டோபர்- நவம்பர்- டிசம்பர் ஆகிய காலங்களிலும் புயல் உருவாகும்.
-
Weather: பலத்த இடி, மின்னல், காற்றுடன் 17 மாவட்டங்களுக்கு கனமழை அலெர்ட்! வானிலை மையம் சொல்வதென்ன? -
வேலூர் டூ கன்னியாகுமரி.. 19 மாவட்டங்களில் கொட்டி தீர்க்கப்போகும் மழை! அடுத்த 2 மணி நேரம் உஷார்! -
கத்திரி வெயில் முடிஞ்சுபோச்சு.. சென்னை உட்பட 5 மாவட்டங்களில் இன்று காலையிலேயே மழைக்கு வாய்ப்பு! -
வெயிலுக்கு இன்று ‘பிரேக்’.. சென்னை உட்பட பல மாவட்டங்களில் மழை பெய்ய வாய்ப்பு.. வானிலை மையம் அப்டேட்! -
யூ-டர்ன் அடிக்கும் விஜய்.. டெல்லி-க்கு மீண்டும் பயணம்.. சொன்னது யார் தெரியுமா? -
பாஜகவில் இருந்து விலகி அண்ணாமலை தனிக்கட்சி தொடங்குகிறார்? ரஜினி ஆதரவுடன் திருச்சி கிழக்கில் போட்டி? -
ஆபாசம்.. ஆபாசம்.. யூடியூபர்கள் கிருஷ் ஐஷ்வர்யா மீது கோவை சைபர் க்ரைம் போலீஸில் புகார் -
சென்னையில் நாளை மாலை ‘GenZ DMK’ பிரம்மாண்ட நிகழ்ச்சி.. களமிறங்கும் திமுக உணர்வுள்ள இளைஞர்கள்! -
ஆள் மட்டுமில்லை.. கட்சியையே தவெகவில் இணைக்கும் புகழேந்தி.. புஸ்ஸி - செங்கோட்டையனுடன் சந்திப்பு -
அதிமுகவில் அடுத்த விக்கெட்? சி.வி.சண்முகத்துக்கு இப்படியொரு லட்டு சான்ஸ்? போட்டு தாக்குதே தவெக -
விசில் அடித்து முன்னேறும் கர்நாடகா, ஆந்திரா.. இனி தமிழ்நாடு வேடிக்கை பார்க்கணும்! விஜய் போட்ட பிரேக் -
ரேஷன் கார்டுதாரர்களுக்கு ஹேப்பி நியூஸ்.. ஜூன் 2, 3ல் வீடு தேடி வரும் சர்ப்ரைஸ்.. கலெக்டர் அதிரடி












Click it and Unblock the Notifications